Share this Listing
Location
Key Details
$165,000.00
Regina
Description
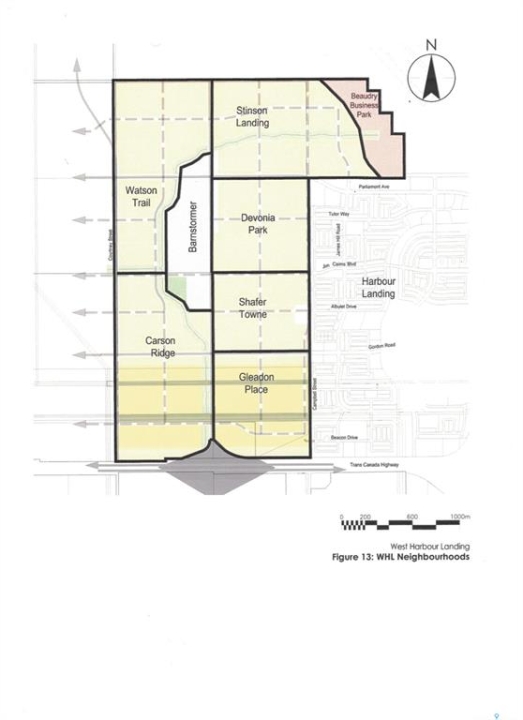
375' x 125' lot (or the same size as 15 lots, 25' x 125') in Devonia Park or Phase IV of West Harbour Landing (located west of Harbour Landing and south of 26th Avenue). This parcel is located on the far west side of 'Devonia Park'. Devonia Park is a quarter section of land originally subdivided into 1,400 lots in 1912. The land was never developed. Investment opportunity only. Brokerage sign at the corner of Campbell Street and Parliament Avenue. GST may apply to the sale price. There may be other costs once the land is developed. More information in the 'West Harbour Landing Neighborhood Planning Report'.
Listing courtesy of Global Direct Realty Inc.
More Info
City: Regina
Land Size: 46875.00
Total Acres: 1.0761
Sub Area: Regina
Listed By: Global Direct Realty Inc.


