Share this Listing
Location
Key Details
$36,000.00
Regina
Description
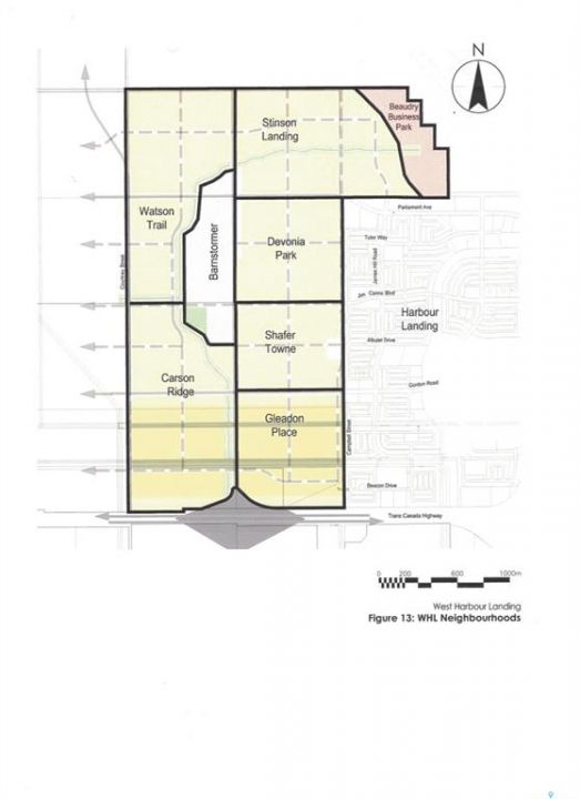
Two 27' x 125' undeveloped residential lots in Devonia Park or Phase IV of West Harbour Landing (located west of Harbour Landing and south of 26th Avenue). NOTE: there are four more adjoining lots available as well. Investment opportunity only at this time with potential to build on in the future. � Devonia Park is a quarter section of land originally subdivided into 1,400 lots in 1912. Brokerage sign at the corner of Campbell Street and Parliament Avenue. GST may be applicable on the sale price. More information at the 'West Harbour Landing Neighborhood Planning Report'. There may be other costs once the land is developed.
Listing courtesy of Global Direct Realty Inc.
More Info
City: Regina
Land Size: 6750.00
Total Acres: 0.1550
Listed By: Global Direct Realty Inc.


